Z kovárny a ze mlýna se dostaň bez cejchu,
z hospody se dostaň bez hříchů.
(estonské přísloví)

Podhorní mlýn; Podhorn, Bader Mühle

Podhorní mlýn; Podhorn, Bader Mühle
17
Teplá
364 61
Cheb
Služetín u Poutnova
49° 59' 9.7'', 12° 46' 31.4''
Mlýniště bez mlýna
Trosky mlýna poblíž minerálního pramene Podhorní kyselka.
Teplá
volně přístupný

Obecná historie:

První zmínka o mlýně a mlynáři je v berní rule z r. 1654. Původně malý dřevěný mlýn o 1 kole na samotě pravděpodobně počátkem 19. století vyhořel a byl postaven mlýn nový, zděný. Roku 1903 mlýn opět vyhořel a na starých základech byl mlýn znovu postaven. Obilí se tu mlelo do roku 1920, pak budova sloužila jako obydlí myslivce. Poslední rodina, která tu bydlela, šla v r. 1946 do odsunu a od té doby je mlýn neobydlen a chátrá. V současné době jsou viditelné zbytky zdí. (EN)


Historie mlýna obsahuje událost z období:

1550 Wolf Biedermann

Události
  • První písemná zmínka o existenci vodního díla
  • Vznik mlynářské živnosti
Hospodářský typ mlýna
  • Poddanský

1622 Wolf Biedermann ml.

Tomáš Biedermann (+1634) s manž. Terezou

1634 od vdovy Terezie koupil Wolf Fischbach (+1.3.1658) s manž. Barborou (+19.4.1656)

V berní rule v r. 1654 je ve Služetíně uváděn mlynář Gabriel Fiškus (Fiscus, mohlo jít o zkomolené Fischbach) , který měl mlýn s jedním kolem a 30 strychů polí.

Augustin Fischbach (+15.1.1714) s manž. Emou (+16.12.1705)

Bohuslav Balbín napsal ve svých "Miscellanea Regni Bohemici" v r. 1679: Podhorní mlynář ten se má - přímo u pece mu vytéká chutná kyselka".

1685 Ondřej Fischbach (30.11.1664-18.2.1698), 20.10.1686 oo Markéta, dc. Jakuba Seitze z Mnichova

1698 bratr Jakub Fischbach (13.7.1669-14.10.1705), m. Zuzana ze Služetína

1705 bratr Jiří Jáchym Fischbach (14.7.1679-8.12.1764), 28.10.1702 oo Markéta (1680-19.4.1741), dc. Ondřeje Davida z Číhané

1745 syn Jan Michal Fischbach (26.8.1724), 8.1.1747 oo Anna Marie, dc. Benedikta Zitterbartha z Bohuslavi

1775 syn Ferdinand Fischbach (18.5.1753-1831), 1778 oo Marie Markéta Möstlová z Teplé

V textové příloze Josefinského mapování v r. 1782 se píše: Cesta vede kolem Podhorního mlýna /Bader Mühl/, postaveného ze dřeva a ležícího na trvale bažinaté louce a na jednom malém potoce...

1790 mlýn do základů vyhořel, vystavěn nový větší a kamenný

1815 syn František Antonín Fischbach (29.7.1790-1.3.1822), m. Markéta Nádlerová ze Služetína čp. 4

1822 synovec Jan Michal Fischbach (1801-23.9.1859), 4.7.1825 oo Markéta (+2.1.1862), vdova po F.A.Fischbachovi

Stará farní kronika obce Rájova na mlýně uvádí mlynáře Gabriela Fischbacha a to, že mlýn byl "mlecí", tj. sloužil služetínským sedlákům k mletí obilí.

Vnuk Gabriela Fischbacha Michael Fischbach, narozený roku 1710, byl též mlynářem na Podhorním mlýně. Měl 7 dětí. Třetí jeho syn, Ferdinand Fischbach /1749 - 1830/ zdědil po otci Podhorní mlýn.  Mlýn byl v té době ještě dřevěný, ale počátkem 19. století pravděpodobně vyhořel  a Ferdinand postavil místo něj dvě zděná, kamenno - cihlová stavení, jejichž základy jsou patrné dodnes. Ve mlýně zůstal nejmladší ze šesti Ferdinandových dětí, Franz Anton Fischbach /1790 - 1822/, který se oženil a v mladém věku 32 let náhle zemřel. Na mlýn pak přišel vnuk Ferdinanda Fischbacha,  Johan Michael Fischbach z Výškovic, a ten se roku 1825 oženil s mladou vdovou po strýci Franzi Antonovi a stal se mlynářem na zdejším mlýně. (EN)

Události
  • První písemná zmínka o existenci vodního díla
  • Vznik mlynářské živnosti
Hospodářský typ mlýna
  • Poddanský

1859 syn Engelbert Fischbach (29.8.1838-26.3.1894), 18.2.1862 Marie Anna (+12.11.1894), dc. Lorence Nadlera z Horního Kramolína čp. 1

15.11.1903 - mlýn vyhořel, novým majitelem se stává Johann Eckert z Vidžína. Ten po deseti letech mlýn opouští a mlýn přechází do vlastnictví tepelského kláštera. Nájemcem se stává mlynář Engelbert Hanicka s manž. Kateřinou, který zde mele až do roku 1920.

Mlýn přestává být rentabilní, část pronajímána jako hájovna - hajný Jiří Stingl (1851-19.11.1918)

Události
  • Zaznamenání katastrofy (požár, povodeň, zranění, úmrtí, aj.)

Hanika mlel do roku 1920 a s ním skončila éra tradičního mlecího mlýna. 

1920 od kupce přešel mlýn do rukou premonstrátského kláštera v Teplé. Jako nájemce části mlýna s mletím se tu objevuje mlynář Hanika. (EN)

mlýn definitivně přestavěl na hájovnu, zařízení demontováno

hajný Jan Eckert 1920-1931

Václav Schwenda (13.3.1901), 21.6.1930 oo Terezie Hauptmannová (4.6.1901) z Teplé

V té době už zde bydlel myslivec Stingl. Klášter pak nechal celý mlýn zrekonstruovat a přestavět jako obydlí pro klášterního myslivce. Myslivec Georg Stingl zemřel v roce 1918, po něm tu bydlel Johann Eckert a v roce 1931 přichází do Podhorního mlýna i s rodinou myslivec Wenzl Schwenda /Švanda/. 

Události
  • Zánik mlynářské živnosti

Při odsunu Němců v roce 1946 opouštějí mlýn poslední obyvatelé - rodina Schwendů.

lesník Ladislav Váně z Ludislavi čp. 10 u Vysokého Mýta

V roce 1956 už na mlýně není střecha.

1980 Zdeněk Buchtele a Jindřich Švandrlík provedli archeologický průzkum a rovněž nalezli pramen vyhlášené minerálky

Mlýn se nachází v troskách, blízký Podhorní pramen je upraven a vede k němu udržovaná cesta.

V současné době jsou patrné části zdí bývalého mlýna, porostlé náletem. Částečně je patrný také dlouhý náhon, přerušený melioracemi. Pramen kyselky v těsné blízkosti mlýna zanikl, zbyla tu jen bažina s vodou rezavé barvy. (EN)

Příjmení mlynářů působících na mlýně:

  • Fischbach
  • Eckert
  • Hanika
  • Biedermann
  • Fiscus
  • Fiškus
  • Hanicka

Historie mlýna také obsahuje:

1550 Wolf Biedermann

1622 Wolf Biedermann ml.

-1634 Tomáš Biedermann

1634 Wolf Fischbach 

Augustin Fischbach

1685-1698 Ondřej Fischbach 

1698-1705 Jakub Fischbach 

1705-1745 Jiří Jáchym Fischbach

1745-1775 Jan Michal Fischbach

1775-1815 Ferdinand Fischbach

1815-1822 František Antonín Fischbach 

1822-1859  Jan Michal Fischbach

1839 - Michl Fischbach

1859-1903 Engelbert Fischbach 

1903-1913  Johann Eckert

1913-1920 Engelbert Hanicka

1913-1920 Jiří Stingl (nájemce)

1920- klášter Teplá

nájemci:

1920-1931 Jan Eckert 

1931-1946 Václav Schwenda

1946- Ladislav Váně

 

Mlýn je vyobrazen na:

Předměty spojené s osobou mlynáře a provozu:

    zřícenina
    03 2022
      venkovský
      mlýn na potoku (50 - 1000 l/s)
      mlýnice je součástí dispozice domu
        zděná
        V západně umístěné budově byla jedna místnost obytná, za ní mlýnice a další dvě místnosti zřejmě pro uskladnění. Východně umístěný objekt byla stáj. (EN)
        původně 2 kamenné objekty, později připojeny další dřevěné
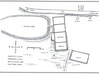
        budova stará cca 150 let, zdi silné 80 cm, obdélníkový půdorys 28,65 x 9,4 m, na západní straně lednice.
        V budově 4 místnosti:
        1) obytná 7,8 x 6,1 m s 5 okny 80 x 105 cm, 6. okno na západní straně zazděno, zvenku falešná okenice. Vchod byl z mlýnice.
        2) mlýnice 7,8 x 8,3 m, měla 2 okna a hlavní vchod
        3) pro hospodářské zvířectvo 7,8 x 6,8 m, měla vlastní vchod a 2 zamřížovaná okna
        4) pro hospodářské zvířectvo 7,8 x 4,8 m
        5 m do dvora stavení kruhová studna a za ní dále ještě obdélníková.a
        dvůr uzavírala dřevěná stavení na severu a východě, nad rybníkem novější stavení ve vyhloubené stráni.
            • zcela bez technologie aj.
            Žádná položka není vyplněna
            o 1 složení
            • náhon
            • rybník
            • lednice
            Rybník nad mlýnem měl 56 ha
            Typvodní kolo na vrchní vodu
            StavZaniklý
            PopisSpád zde není přípiš velký, bylo zde vodní kolo na vrchní nebo střední vodu.
            po celou dobu existence pouze 1 kolo o prům 3,5 m
            Typvodní kolo na vrchní vodu
            StavZaniklý
            PopisSpád zde není přípiš velký, bylo zde vodní kolo na vrchní nebo střední vodu.
            po celou dobu existence pouze 1 kolo o prům 3,5 m
            Žádná položka není vyplněna
            Historické technologické prvky
            • pískovcový kámen | Počet: 1
            • AutorHAMELIKA
              NázevPodhorní mlýn
              Rok vydání2021
              Místo vydáníMariánské Lázně
              Další upřesněníHistorie Mariánských Lázní a okolí
              Odkazhttps://www.hamelika.cz/?cz_podhorni-mlyn,404
              Datum citace internetového zdroje06 2022
              AutorHAMELIKA
              NázevPodhorní mlýn
              Rok vydání2021
              Místo vydáníMariánské Lázně
              Další upřesněníHistorie Mariánských Lázní a okolí
              Odkazhttps://www.hamelika.cz/?cz_podhorni-mlyn,404
              Datum citace internetového zdroje06 2022
              AutorLuděk Jaša
              NázevMlýny Slavkovského lesa 3.
              Rok vydání2021
              Místo vydáníBřezová
              Další upřesněnís. 11-24
              AutorJosef Klempera
              NázevVodní mlýny v Čechách IX. - dodatky
              Rok vydání2005
              Místo vydáníPraha
              Další upřesněnís. 256-258

              Žádná položka není vyplněna

              Základní obrázky

              Historické mapy

              Plány - stavební a konstrukční

              Historické fotografie a pohlednice

              Současné fotografie - exteriér

              Současné fotografie - exteriér - detaily stavebních prvků

              Současné fotografie - interiér

              Současné fotografie - interiér - detaily stavebních prvků

              Současné fotografie - vodní dílo

              Současné fotografie - technologické vybavení

              Ostatní

              Vytvořeno

              8.3.2022 19:50 uživatelem Ringo (Vladimír Forejt)

              Majitel nemovitosti

              Není vyplněn

              Spoluautoři

              Uživatel Poslední změna
              Rudolf (Rudolf Šimek) 11.4.2022 19:52
              doxa (Jan Škoda) 25.7.2024 23:47
              eva48 (Eva Nesnídalová)